院長ブログ
ソファからのジャンプは要注意!
2017年8月22日
不安定な天候が続く今年の夏。
飼い主さまも、ワンちゃん、ネコちゃんも、体調を崩していらっしゃいませんか?
この夏、当院では、外耳炎、皮膚病、心臓病で来院する患者さまが急増。
また、例年通り、夏バテによる嘔吐や下痢のコも後を絶ちません。
今週半ばからは、また暑さがぶり返すようですから、十分、気をつけてくださいね。
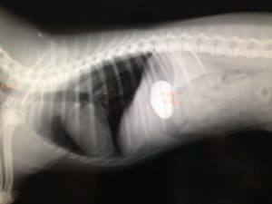
さて、本日ご紹介する症例は、股関節脱臼です。
来院したのは10歳のトイプードルの男のコ。
ソファからジャンプした時に着地に失敗し、
後ろ脚がケンケンするような歩き方になったとのこと。
レントゲンを撮影すると、左後脚の股関節脱臼と判明しました。

股関節整復手術後、ギプスで固定しましたが、10日後、再脱臼。
原因は、骨頭と股関節を結ぶ靱帯が切れてしまっていたか、
脱臼時の衝撃で関節包(関節を包んでいる袋状の皮膜)が損傷してしまっていたため。

4時間におよぶ再手術で破れた関節包を縫い合わせ、
再度、脱臼しないように2本のピンで大腿骨を腸骨に固定することに。
身体の外側に出たピンを輪ゴムで固定する方法を選択しました。
術後10日目の検診では、院内を元気に走る姿を見せてくれました。

3年前には、コンビニの階段を踏み外しただけで
股関節脱臼を発症したポメラニアンのコもいました。
幸い、このコは、麻酔による整復だけで回復しましたが、
今回のトイプードルのコのように、重症に陥ることも少なくありません。
特に小型犬は簡単に股関節脱臼を起こしてしまいますから、
小さな段差からのジャンプにも、十分、注意を払ってください。
新たな膝蓋骨の手術法 Dr岸上式 膝窩筋切断法による手術
2017年6月12日
6月に入ったばかりですが、すでに暑さを感じますね。
こんなジメジメした季節は、皮膚病に罹る子が増加します。
予防法はこまめなシャンプーが有効です。
また、暑さによる熱射病や心臓病が増えるのも夏の特徴。
ワンちゃんをお留守番させる時にも、エアコンなどで室温の調整にお気をつけください。
さて、久しぶりの更新となった今回は、
後ろ足の膝が外れてしまう膝蓋骨脱臼症候群についてご紹介します。
この病気は、生まれつき膝の溝が浅い子に発症する先天性のもので、
トイプードルやチワワ、ヨークシャーテリア、ポメラニアンなどの犬種に多く見られます。
膝関節が外れてしまうと、痛さのあまり「キャンキャン」鳴いたり、
発症した方の足を上げてケンケンで歩くなどの症状が見られます。
上記のような症状を見つけた時には、ぜひ獣医師の診断を仰いでください。
病状はグレード1~4に分かれます。
比較的軽傷のグレード1~2の場合は、自然に脱臼が元に戻る場合もありますが、
グレード3~4の重傷の場合は、手術が必要になります。
従来の手術方法では、足をギプスで固定し、6日程度の入院の後、
歩けるようになるには10日ほどの日数が必要でした。
しかし、大阪在住の岸上義弘先生が、新たな手術方法を考案!
飛躍的にワンちゃんへの負担が軽減されました。

新たな手術法は、膝窩筋(しっかきん)と呼ばれる筋を切断するというもの。
元々この膝窩筋とは、人間や猿など、2足歩行をする動物が、
高い所の物を取る時などに、膝の関節を安定させるため膝を内側に引っ張る役割をする筋であり、
4足歩行の犬に取っては、必要性が低いもの。
それを切断することで、膝を内側に引っ張る力がなくなり、膝の脱臼が治るというものです。
当院では、膝窩筋断裂と同時に、膝関節がスムーズに動くよう、
大腿骨の膝側に、歯科用ドリルで滑車溝を形成。
筋を切断するだけなので、手術の翌日には歩けるようになり、4日で退院が可能になりました。
何より、ギプス固定が不要なため、ワンちゃんも快適に過ごせ、飼い主さまからも喜ばれています。

この一例だけでなく、獣医学は日々、発展し、
昔は困難だった治療にも、新たな解決策が次々と提案されています。
愛犬、愛猫の体調に、少しでも気になることがある時は、
お気軽にお問い合わせください。
外耳炎を甘くみていると大変なことになります
2017年1月27日
寒い日が続いています。
こんな季節は、暖かいお部屋の中で、ワンちゃん、猫ちゃんと一緒にぬくぬく……。
なんとも、しあわせな光景ですが、実は、寒い時期だからこそ、
注意しなければならない病気もあるのです。
この時期、お部屋の中では、ストーブをガンガン炊き、エアコンもフル回転のはず。
すると、空気は乾燥し、ハウスダストやほこりが空気中に舞いあがることに。
その結果は、皮膚がカサカサになり、
さらには、アトピーのワンちゃん、猫ちゃんの症状が悪化することになるんです。
先日も、「冬になった途端、全身を痒がる」との症状で
ボストンテリアの8歳の女の子が来院しました。
診断の結果はアトピー。特に左耳の症状が重く、
アレルギー性の外耳炎を後ろ足で掻き壊してしまった結果、
血管が破裂して耳血腫まで発症している状態でした。

耳の中に溜まった血液を抜くだけでは、耳の形が餃子のように変形してしまうため、
特に立ち耳のワンちゃんには、見た目の問題からもオススメできません。
そこで、耳が委縮しないよう、美容整形手術のように耳の軟骨を20針ほど縫う手術を施しました。


術後、2週間で抜糸。さらに2週間で、見事に腫れも引きました。
元通りの耳に戻って、飼い主さまも大喜びです。
その後は、アトピーのお薬(ファイザー製薬のアポキル錠)で、
痒みもすっかり収まったのか、元気いっぱい、跳びはねているそうです。

寒さはまだまだこれからが本番。
先日の、日本列島を襲った大寒波の時には、腰痛を伴う椎間板ヘルニアの患者さまが増加しました。
そんな症状がある時は、ワンちゃん用のティーシャツの上に使い捨てカイロを貼りつけ、
痛みのある腰や背骨を温かく保つのがオススメ。症状の悪化を防げます。
あっかんべーで見つかった小さな腫瘍
2016年11月20日
つい先日まで、残暑に苦しんでいたと思ったら、
あっという間に秋を通り越して、真冬のような日々が訪れてしまいましたね。
みなさまも、ワンちゃん、猫ちゃんも、体調を崩してはいませんか?
さて、2週間ぶりとなった本日、ご紹介するのは、
「舌の奥に、ピンク色の炎症がある」と、連れてこられた
トイプードルの8歳の女の子の症例です。
飼い主さまは、「確かに炎症がある」とおっしゃるのですが、
普通に口の中を見ただけでは、炎症は確認できません。
そこで、口を大きく開けてみると、舌の奥の付け根付近に、
わずか直径3mmほどの小さな小さな炎症があるのに気付きました。

外見はただの炎症にしか見えませんでしたが、
念のため、手術でメスを入れてみると、なんと、その炎症の下に、白く硬い腫瘍が!
腫瘍摘出後、ガン化した細胞が残らないよう、
周辺の一定範囲を電気メスで焼く処置を行ないました。

病理検査の結果は、悪性グレード1。
(【グレード】とは腫瘍の悪性度を現わす単位。
進行度を現わす【ステージ】とは別の判断基準。
4段階に分類され、グレード4が最も悪性度が高い)
発見が早かったことと、広範囲に摘出したことで、
手術後は、きれいなピンク色の舌に戻り、再発の可能性は低いと考えられます。
獣医師の僕ですら、すぐには見つけられないような舌の奥の小さな炎症を
早期発見できたのは、飼い主さまの日々の観察力の賜物でした。
愛犬、愛猫の身体の小さな変化に気付けるのは、まさに飼い主さまだけです。
みなさまも、ご自分の愛する家族の身体を、
今一度、じっくりチェックしてみてはいかがでしょう。
危険は床に落ちている!
2016年10月25日
今回は、身近に迫る「誤飲の恐怖」についてです。
来院したのは、生後6か月の日本猫の仔猫ちゃん。
嘔吐が続き、救急の夜間病院で診察してもらったそうですが、
その病院では「異常なし」と、診断されたそう。
でも、次の日も嘔吐が続き、心配した飼い主さまが、当院に駆け込んで来ました。
レントゲン検査とバリウム検査の結果、小腸に異物を発見。
さらに内視鏡検査を行なうと、口から小腸まで続く、1本の黒い糸を確認しました。
口から糸を引っ張りますが動きません。


そこで、緊急手術を決断。
開腹すると、小腸に糸の先が絡まっていました。
腸管を切開し、糸の先を摘出後、再度、口から糸を引っ張ると、
なんと、全長80cmもの糸が出て来ました。


飼い主さまに確認すると、ご自宅にあった縫い糸とのこと。
ついでに(?)去勢手術も行なった上で、
仔猫ちゃんは、4日間の入院で元気に退院して行きました。
その2日後、またもや誤飲で来院したのは、
ワイヤーフォックステリアの2歳の女の子です。
彼女が食べてしまったのは、なんと、お庭の玉砂利!
嘔吐を促す薬で吐かせようとしましたが、石が重くて吐くこともできません。
そこで、日大付属病院の消化器内科で6年のキャリアを積んだ
内視鏡のエキスパートである当院の五十嵐獣医師が、
写真のようなお手製の捕獲網を作成。
内視鏡を使い、胃の内部にある石をキャッチしようと試みましたが、
あまりに石が大きく、3時間格闘するも、胃から出すこともできませんでした。


仕方なく、開腹手術に踏み切った結果、出て来たのが写真の石です。
隣にある目薬の容器と比較しても、大きさにビックリするでしょう?


縫い糸にしても、玉砂利にしても、どのご家庭にも普通にあるものです。
でも、好奇心旺盛なワンちゃん、猫ちゃんにとっては、一転、凶器に変貌することも。
誤飲は、飼い主さまの注意で、防げる事故。
どうか、十分、注意を払ってください。
危険は床に落ちている――ですよ!
大感激! 元気になったトラちゃんが帰って来た!
2016年10月17日
写真に写っているのは、飼い主さまの家族旅行のため、
当院付帯のペットホテルにお泊まりに来た15歳の日本猫の男の子、トラちゃんです。
どうです?
ふっくらフワフワの可愛らしい猫ちゃんでしょう?
でも、実はトラちゃんは、生死に関わる大病から復活した猫ちゃんなんですよ。

彼が来院したのは、1年前の秋。
「元気がなく、食欲もなく、どんどんやせて来た」というのが飼い主さまの説明でした。
すぐに血液検査、レントゲン、甲状腺ホルモン、膵臓検査などを行ないましたが、
いずれも異常なし。
ところが、エコー検査で、腸にパチンコ玉ぐらいの腫瘍が発見されたんです。
試験的に開腹して病理組織検査を行なおうかとも思いましたが、
15歳という年齢を考えると、リスクが大きすぎる気もします。
そこで、もし、腫瘍がリンパ腫であるならばステロイドが有効だと考え、
投薬療法を取ることに。
すると、みるみる元気も食欲も復活!
この段階で、腸管高分化型リンパ腫と診断し、抗がん剤治療を追加することにしました。
この型のリンパ腫には、イギリスの製薬会社が開発した抗がん剤クロラムブシルが有効です。
でも、残念ながらこの薬は日本では未発売。しかも1錠900円ほどもする価格もネックになります。
しかし、なんとしてもトラちゃんの命を救いたいという飼い主さまの熱意を受け、
個人輸入で入手し、投薬することを了承していただき、
ステロイドのブレドニゾロンとの1日おきの投薬を実施しました。

その治療から1年後の姿が冒頭の写真です。
初来院の時には、2.9kgしかなく、ガリガリだったトラちゃんが、今では3.8kgに!
そして、晴れてペットホテルのお客さまとして、帰って来てくれたことに、
僕も、スタッフも皆、大感激した1日でした!
つい先日も、国会で人間用の高額抗がん剤の価格を抑える議論が行なわれたようですが、
ワンちゃん、猫ちゃんにも同様の問題が起きています。
ペットに対してどれぐらいの医療費をかけられるかは、
それぞれの飼い主さまのお考えによるものですから、
どなたにでもオススメできる方法ではないかもしれませんが、
今回は、内科的治療で腫瘍を克服した例として、ご紹介させていただきました。
抱っこによる落下事故に注意
2016年10月10日
「愛するペットを抱っこしたい!」というのは、すべての飼い主さまに共通する思いです。
特に、子犬、仔猫の時には、その思いは強いはず。
でも、その、ペットを愛する気持ちが、思いもよらぬ事故に発展するケースもあります。
事故が起こったのは今年のゴールデンウィーク。
トイプードルの生後4か月の女の子が、家族旅行で訪れた蓼科高原のドッグカフェで、
飼い主さまの手から落ちてしまい、左前脚を骨折してしまいました。
近くの動物病院で応急処置を施してもらった上で、帰京後、当院に来院されました。


すぐに骨折部にプレート装着手術を行ない、なんとか歩行が可能に(写真上右)。
数か月が経過し、骨折部がしっかりと接合したのを確認し、
先日、プレートの除去手術を行ないました(写真下)。

今回の例のような旅行先はもちろん、家庭内でも、落下事故による骨折は発生します。
特に、チワワやトイプードル、ヨーキーなどの小型犬は要注意。
愛犬を抱っこする時には、くれぐれも注意を怠らないでくださいね!
ちなみに、猫ちゃんの落下・骨折事故は、当院では一度も経験していません(笑)。
犬にとっても、肥満は万病の元
2016年9月18日
先週まで、内臓疾患の症例が続いたので、今回は外科の症例をご紹介しましょう。
訪れたのは、3歳のパピヨンの女の子。
飼い主さまの説明では、
「後ろ足を引きずり、両足ともガニ股で、カニさんのように歩いている」とのこと。
診察すると、後ろ足の膝蓋骨が内側に落ちており、それがガニ股の原因とわかりました。
人間で言えば、膝の関節ですが、脱臼してすでに1年以上が経過していると思われ、
すでに、じん帯の委縮が進行。
元の正常な位置に直す整復手術が必要だと判断しました。
手術時間は約5時間。膝の関節に歯科用ドリルで丁寧に溝を掘り、
膝蓋骨が内側に落ちないように、写真のようなチタン合金の器具で固定しました。
(写真は、色調を少々調整してあります)

膝の脱臼は、ヨーキー、チワワ、プードル、ポメラニアンなどの小型犬に多くみられます。
症状はグレード1からグレード4まで段階があり、
脱臼しても、自分で関節が入るグレード1からグレード2なら、
手術の必要はなく、張ったスジに鍼灸治療などを行なえば完治します。
ただ、グレード3からグレード4にまで進行し、
ケンケンをするような歩行状態になってしまうと、手術の対象になってしまいます。
関節のためにも、体重増加は要注意。
適正な体重、体型を保つことが、予防にもつながります。
P.S.
先週、ご紹介した脾臓摘出のフレンチブルドッグの女の子。
病理組織検査の結果は、良性腫瘍でした!
結果を聞いた飼い主さまは大喜び。
ワンちゃんもますます元気になっています!
健康診断は大切です!
2016年9月12日
今回、ご紹介するのは、
「3日前から食欲がなく、お水を異常に飲む」と、
連れてこられた8歳のフレンチブルドッグの女の子の症例です。
検査をすると血液が半分程度しかないことが判明。
追加のレントゲンとエコー検査で、
脾臓に直径5cmもの腫瘍があり、そこが出血箇所と判明しました。
すぐに血液のマッチング検査を行ない、
適合するワンちゃんの血液を輸血しながらの手術となりました。
開腹してみると、そこには大量の血液が。
結果的には、100ccもの血液が吸引できるほどの出血量でした。
約2時間の手術で脾臓を摘出。
これで出血は止まったので、あとは病理組織検査で、
腫瘍が良性であることを祈るばかりです。

昨年、北千束本院での秋の健康検査を受診した約30匹のうち、
2匹から脾臓の腫瘍が、1匹から肝臓の腫瘍が発見されました。
脾臓腫瘍の1匹は残念ながら悪性でしたが、
残る2例は、良性腫瘍だったため、摘出後、今も元気にしています。
受診数は年度によって異なりますが、例年、10%程度の割合で腫瘍が見つかっています。
人間同様、動物の腫瘍も、早期発見こそが全快への近道!
そのためにも、できればワンちゃん、猫ちゃんにも、
年1回の健康診断をぜひとも習慣づけてください。
当院では、いくつかの健康診断コースをご用意していますが、
6歳未満の若く元気の良いワンちゃん、猫ちゃんの場合でも、せめて
胸部レントゲンと血液検査、尿検査、糞便検査の「かんたんパック」を。
7歳を超えたシニア世代や、若くても体調がすぐれないワンちゃん、猫ちゃんなら、
腹部レントゲンや心電図、腹部エコーがセットになった「あんしんパック」や、
心臓エコー、甲状腺ホルモン検査も加わった「まるごとパック」などがオススメです。
胆嚢摘出で救われたちいさな命
2016年9月3日
今回ご紹介する症例は、急な吐気で来院した10歳のチワワの男の子です。
ひと目見ただけで、黄疸で目と顔が真っ黄色になっているのがわかりました。
エコー検査をすると、胆石が胆嚢で詰まった胆嚢炎と判明。
7日間、入院してもらい、胆嚢炎用の点滴と投薬で危機は乗り越えました。
それから1か月――。
飼い主さまの「元気バリバリです!」というお言葉を確認した上で、
胆嚢摘出手術を行ないました。
開腹してみると、胆嚢が破裂しており、肝臓への癒着もひどく、
4時間の大手術となってしまいました。
でも、手術の翌日には、ボウルいっぱいのフードをばくばく食べるほどに快復!
飼い主さまも、僕も、ホッとひと安心。
5日後に退院し、今はお家で、元気いっぱい跳ねまわっているそうです。
胆石による胆嚢炎は、小型犬のチワワ、ダックス、ポメラニアンなどに多く、
脂肪過多の食事が原因だと思われます。
7歳を過ぎたら、年に1度は血液検査をし、
ALP,胆汁酸が高ければ、X線、エコー検査をオススメします。
多くの飼い主さまは、「犬は肉が大好き」と、ついついお肉をあげがちですが、
予防には、シニア用の食事や低脂肪のアッサリとした食事がオススメです。
ちなみに写真は、組織検査のため病理検査センターに送るため、
摘出した胆嚢をホルマリン漬にしたものです。
「胆嚢ガンではなく胆嚢炎である」――という検査結果に胸を撫で下ろしました。







